©Les Binns

©Amy Lewis
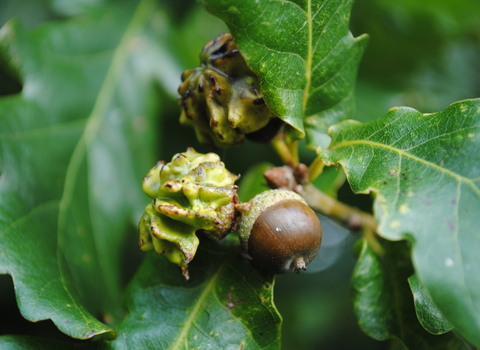
Knopper gall wasp
The knopper gall wasp produces knobbly red, turning to brown, growths, or 'galls', on the acorns of Pedunculate Oak. Inside the gall, the larvae of the wasp feed on the host tissues, but cause little damage.
Scientific name
Andricus quercuscalicisWhen to see
January to DecemberSpecies information
Category
Statistics
Length of gall: up to 2.8cmConservation status
Introduced species.